The atlas is structured as a taxonomically sorted list of photographs of individual species. The main page of the atlas shows the arrangement to the family level. Additional, subordinate pages then present atlases of individual families, which are opened by clicking on the name of the family.
For the higher taxonomy (order to tribus), the article was used as the primary source:
Patrice Bouchard, Yves Bousquet, Anthony E. Davies, Chenyang Cai, On the nomenclatural status of type genera in Coleoptera (Insecta). ZooKeys 1194: 1–981 (2024), Published: 13 March 2024, ZooKeys, 2024For some families, additional edits were then applied to be consistent with later published articles. The atlases for each family are arranged alphabetically by taxonomy. A "Taxonomic atlas" help block is located in the right column on the main atlas page for quick scrolling on the main atlas page. The atlas pages for each family are complemented by the "Atlas Legend" block in the right column.
COLEOPTERA |
ADEPHAGA |
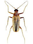
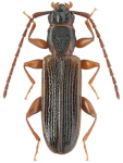
Carabidae (Latreille, 1802)The ground beetles
|
||
Cicindelidae (Latreille, 1802)The tiger beetles
|
||
Dytiscidae (Leach, 1815)The diving beetles
|
||
Gyrinidae (Latreille, 1810)The whirligig beetles
|
||
Haliplidae (Aubé, 1836)The crawling water beetles
|
||
Hygrobiidae (Régimbart, 1879 (1837))The screech beetles (or squeak beetles)
|
||
Noteridae (C.G. Thomson, 1860)The burrowing water beetles
|
MYXOPHAGA |
Sphaeriusidae (Erichson, 1845)The minute bog beetles
|
POLYPHAGA |
BOSTRICHIFORMIA |
Bostrichoidea (Latreille, 1802) |
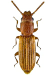
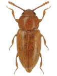
Bostrichidae (Latreille, 1802)The horned powder-post beetles (or false powderpost beetles)
|
||
Dermestidae (Latreille, 1804)The skin beetles (or larder beetles or carpet beetles)
|
||
Ptinidae (Latreille, 1802)The spider beetles (spiderweb beetles)
|
CLAMBIFORMIA |
Clamboidea (Fischer von Waldheim, 1821) |
Clambidae (Fischer von Waldheim, 1821)The fringe-winged beetles (or minute beetles)
|
||
Derodontidae (J.L. LeConte, 1861)The tooth-necked fungus beetles (or tooth-neck beetles)
|
||
Eucinetidae (Lacordaire, 1857)The plate-thigh beetles
|
CUCUJIFORMIA |
Chrysomeloidea (Latreille, 1802) |
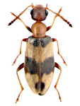
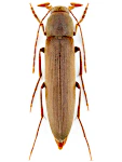
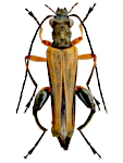
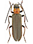
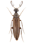
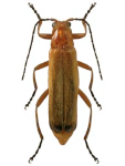
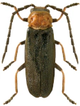
Cerambycidae (Latreille, 1802)The longhorn beetles (or longicorns)
|
||
Chrysomelidae (Latreille, 1802)The leaf beetles
|
||
Megalopodidae (Latreille, 1802)The sometimes used trivial name is megalopodid leaf beetles.
|
||
Orsodacnidae (C.G. Thomson, 1859)The sometimes used trivial name is "Orsodacnid leaf beetles" or ravenous leaf beetles.
|
Cleroidea (Latreille, 1802) |
Biphyllidae (J.L. LeConte, 1861)The false skin beetles
|
||
Byturidae (Gistel, 1848)The fruitworm beetles (or raspberry beetles)
|
||
Cleridae (Latreille, 1802)The checkered beetles
|
||
Lophocateridae (Crowson, 1964)The family does not have an established English name.
|
||
Melyridae (Leach, 1815)The soft-winged flower beetles
|
||
Peltidae (W. Kirby, 1837)The shield beetles
|
||
Phloiophilidae (Kiesenwetter, 1863)The family does not have an established English name.
|
||
Rhadalidae (J.L. LeConte, 1861)The family does not have an established English name.
|
||
Trogossitidae (Latreille, 1802)The bark-gnawing beetles
|
Coccinelloidea (Latreille, 1807) |
Alexiidae (Imhoff, 1856)The family does not have an established English name.
|
||
Anamorphidae (Strohecker, 1953)The family does not have an established English name.
|
||
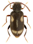
Bothrideridae (Erichson, 1845)The dry bark beetles (or potato beetles or cocoon-forming beetles)
|
||
Cerylonidae (Billberg, 1820)The minute bark beetles
|
||
Coccinellidae (Latreille, 1807)The ladybirds (or ladybugs)
|
||
Corylophidae (J.L. LeConte, 1852)The minute hooded beetles
|
||
Endomychidae (Leach, 1815)The handsome fungus beetles
|
||
Latridiidae (Erichson, 1842)The minute scavenger beetles (or mould beetles or fungus beetles)
|
||
Mycetaeidae (Jacquelin du Val, 1857)The family does not have an established English name.
|
||
Teredidae (Seidlitz, 1888)The family does not have an established English name.
|
Cucujoidea (Latreille, 1802) |
Cryptophagidae (W. Kirby, 1826)The silken fungus beetles
|
||
Cucujidae (Latreille, 1802)The flat bark beetles
|
||
Laemophloeidae (Ganglbauer, 1899)The lined flat bark beetles
|
||
Phalacridae (Leach, 1815)The shining flower beetles
|
||
Phloeostichidae (Reitter, 1911)The family does not have an established English name.
|
||
Silvanidae (W. Kirby, 1837)The flat grain beetles (or flat bark beetles)
|
Curculionoidea (Latreille, 1802) |
Anthribidae (Billberg, 1820)The fungus weevils
|
||
Attelabidae (Billberg, 1820)The leaf-rolling beetles
|
||
Brentidae (Billberg, 1820)The straight-snouted weevils
|
||
Cimberididae (Gozis, 1882)The pine-flower snout beetles (or pine cone weevils)
|
||
Curculionidae (Latreille, 1802)The weevils (or true weevils or snout beetles)
|
||
Nemonychidae (Bedel, 1882)The pine-flower weevils
|
Erotyloidea (Latreille, 1802) |
Erotylidae (Latreille, 1802)The pleasing fungus beetles
|
Lymexyloidea (Fleming, 1821) |
Lymexylidae (Fleming, 1821)The timberworm beetles (or ship-timber beetles)
|
Nitiduloidea (Latreille, 1802) |
Kateretidae (W. Kirby, 1837)The short-winged flower beetles (or false pollen beetles)
|
||
Monotomidae (Laporte, 1840)The root-eating beetles (or minute clubbed beetles)
|
||
Nitidulidae (Latreille, 1802)The sap beetles (or pollen beetles)
|
||
Sphindidae (Jacquelin du Val, 1860)The dry fungus beetles (or slime mold beetles)
|
Tenebrionoidea (Latreille, 1802) |
Aderidae (Csiki, 1909)The antlike leaf beetles (or ant leaf beetles)
|
||
Anthicidae (Latreille, 1819)The antlike flower beetles (or ant flower beetles)
|
||
Boridae (C.G. Thomson, 1859)The conifer bark beetles
|
||
Ciidae (Leach, 1819)The tree fungus beetles (or minute tree-fungus beetles)
|
||
Melandryidae (Leach, 1815)The false darkling beetles
|
||
Meloidae (Gyllenhal, 1810)The blister beetles (or oil beetles)
|
||
Mordellidae (Latreille, 1802)The tumbling flower beetles (or pintail beetles)
|
||
Mycetophagidae (Leach, 1815)The hairy fungus beetles
|
||
Mycteridae (Perty, 1840)The palm and flower beetles
|
||
Oedemeridae (Latreille, 1810)The false blister beetles (or false oil Beetles or pollen-feeding beetles)
|
||
Prostomidae (C.G. Thomson, 1859)The jugular-horned beetles
|
||
Pyrochroidae (Latreille, 1806)The fire-colored beetles (or cardinal beetles)
|
||
Pythidae (Solier, 1834)The log bark beetles (or dead log bark beetles or flat pine beetles)
|
||
Ripiphoridae (Laporte, 1840)The wedge-shaped beetles (or wedge beetles)
|
||
Salpingidae (Leach, 1815)The narrow-waisted bark beetles (or narrow bark beetles)
|
||
Scraptiidae (Gistel, 1848)The false flower beetles
|
||
Tenebrionidae (Latreille, 1802)The darkling beetles
|
||
Tetratomidae (Billberg, 1820)The polypore fungus beetles
|
||
Zopheridae (Solier, 1834)The ironclad beetles (or cylindrical bark beetles)
|
ELATERIFORMIA |
Buprestoidea (Leach, 1815) |
Buprestidae (Leach, 1815)The jewel beetles (or metallic wood-boring beetles)
|
Byrrhoidea (Latreille, 1804) |
Byrrhidae (Latreille, 1804)The pill beetles (or moss beetles)
|
Dascilloidea (Guérin-Méneville, 1843 (1834)) |
Dascillidae (Guérin-Méneville, 1843 (1834))The soft-bodied plant beetles (or orchid beetles)
|
Dryopoidea (Billberg, 1820 (1817)) |
Dryopidae (Billberg, 1820 (1817))The long-toed water beetles
|
||
Elmidae (Curtis, 1830)The riffle beetles
|
||
Heteroceridae (W.S. MacLeay, 1825)The variegated mud-loving beetles (or mud-loving beetles)
|
||
Limnichidae (Erichson, 1846)The minute marsh-loving beetles
|
||
Psephenidae (Lacordaire, 1854)The water penny beetles
|
||
Ptilodactylidae (Laporte, 1838)Toe-winged Beetles
|
Elateroidea (Leach, 1815) |
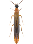
Cantharidae (Imhoff, 1856 (1815))The soldier beetles
|
||
Cerophytidae (Latreille, 1834)The rare click beetles
|
||
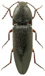
Elateridae (Leach, 1815)The click beetles
|
||
Eucnemidae (Eschscholtz, 1829)The false click beetles
|
||
Lampyridae (Rafinesque, 1815)The fireflies (or lightning bugs or glow-worms)
|
||
Lycidae (Laporte, 1838)The net-winged beetles
|
||
Throscidae (Laporte, 1840)The small false click beetles
|
NOSODENDRIFORMIA |
Nosodendroidea (Erichson, 1846) |
Nosodendridae (Erichson, 1846)The wounded-tree beetles
|
SCIRTIFORMIA |
Scirtoidea (Fleming, 1821) |
Scirtidae (Fleming, 1821)The marsh beetles
|
STAPHYLINIFORMIA |
Histeroidea (Gyllenhal, 1808) |
Georissidae (Laporte, 1840)The minute mud-loving beetles
|
||
Helophoridae (Leach, 1815)The grooved water scavenger beetles (or water scavenger beetles)
|
||
Histeridae (Gyllenhal, 1808)The clown beetles
|
||
Hydrochidae (C.G. Thomson, 1859)The water scavenger beetles
|
||
Hydrophilidae (Latreille, 1802)The water scavenger beetles
|
||
Spercheidae (Erichson, 1837)The filterfeeding water scavenger beetles (or false water scavenger beetles)
|
||
Sphaeritidae (Shuckard, 1839)The false clown beetles
|
Scarabaeoidea (Latreille, 1802) |
Bolboceratidae (Mulsant, 1842)The family does not have an established English name (occasionally used trivial name is dor beetles).
|
||
Geotrupidae (Latreille, 1802)The earth-boring dung beetles (or dor beetles)
|
||
Glaresidae (Prudhomme de Borre, 1886)The enigmatic scarab beetles
|
||
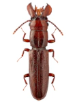
Lucanidae (Latreille, 1804)The stag beetles
|
||
Ochodaeidae (Streubel, 1846)The sand-loving scarab beetles
|
||
Scarabaeidae (Latreille, 1802)The scarab beetles
|
||
Trogidae (W.S. MacLeay, 1819)The hide beetles (or skin beetles)
|
Staphylinoidea (Latreille, 1802) |
Agyrtidae (C.G. Thomson, 1859)The primitive carrion beetles
|
||
Colonidae (G.H. Horn, 1880 (1859))The family does not have an established English name.
|
||
Hydraenidae (Mulsant, 1844)The minute moss beetles (or moss beetles)
|
||
Leiodidae (Fleming, 1821)The round fungus beetles
|
||
Ptiliidae (Erichson, 1845)The featherwing beetles
|
||
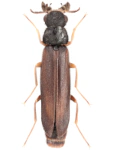
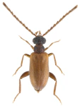
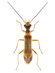
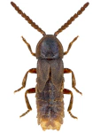
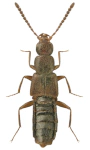
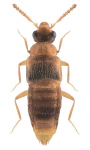
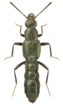
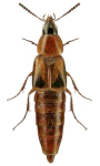
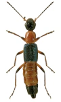
Staphylinidae (Latreille, 1802)The rove beetles
|





































































































































































































































































































































































































































































































